Stop aux nuisibles
Place à la propreté
Plus de nuisibles, plus de traces, plus de tracas !
Votre expert unique en traitement des nuisibles et nettoyage 💪✨
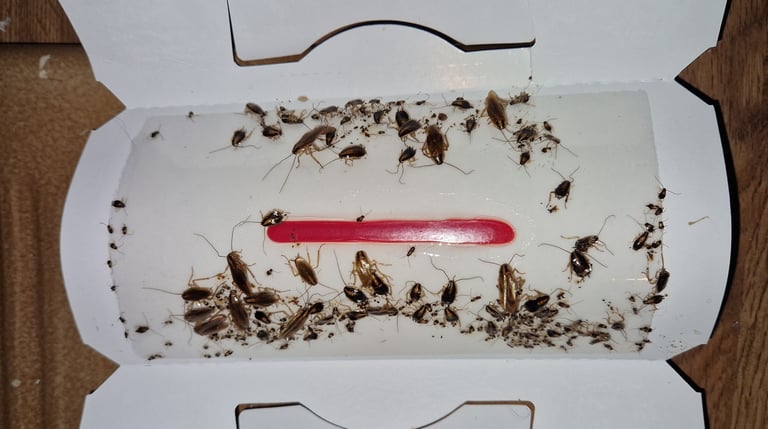
Traitement efficace contre les cafards plaque glue aux phéromones
Dératisation complète pour un environnement sain




Super traitement contre les fourmis gel insecticide


Nos chiffres clés
150+
100%
Des clients satisfaits
Interventions par an
Nettoyage industriel sur mesure
Nettoyage bureaux




Nettoyage vitres
Nettoyage à la perche


Réseaux
Pour toute demande, écrivez-nous ou appelez.
Contact (QR-Code)
Adresse
©👽Judibet 2025. Tout droits réservés.




